|
Pucciniaceae |
|
|
|
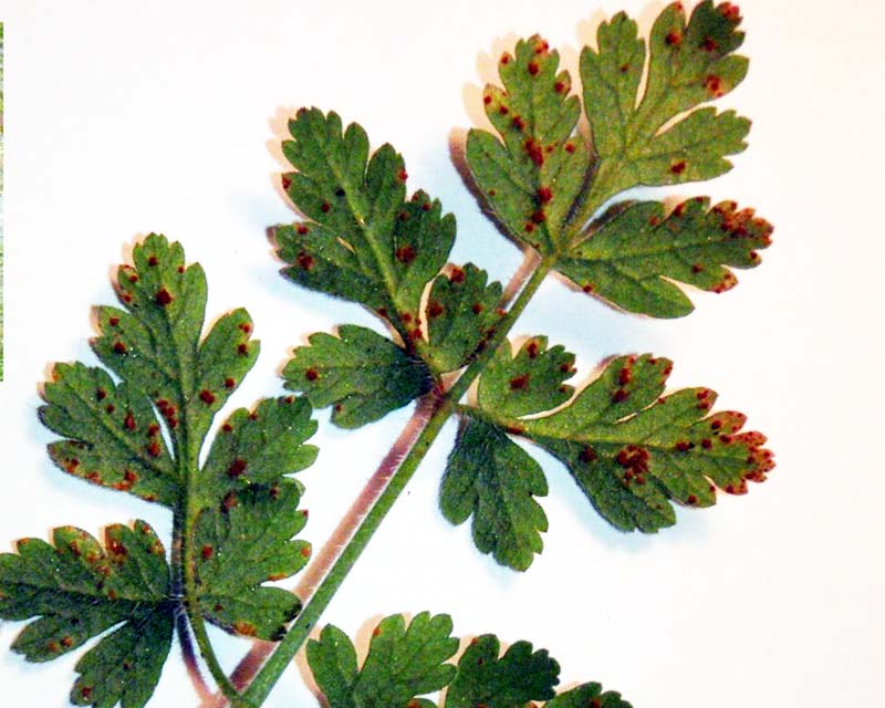
Uromyces gerani |
![]() |
| photo LB - B/Braives - 23 10 10 - écidies sur Geranium molle |
|
|
| photo LB - ecidiospores |
![]() |
| photo AF - 62 Boulogne sur mer - 26 09 08- urédies sur Geranium robertianum |
![]() |
| urédospores |
![]() |
| teleutospores |